秋田の不動産は有限会社ソピアホーム|秋田県秋田市|不動産|賃貸|売買|空き家管理|リフォーム|新築|住宅|住まい

REAL ESTATE DETAIL
不動産情報詳細

売地

秋田市下新城長岡字耳取

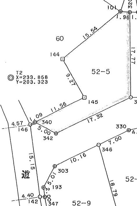
販売価格 280万円 土地面積 235.28 ㎡(71.17 坪)
地目 宅地 用途地域 第一種低層住居専用地域
所在地 下新城長岡字耳取 建築条件 無し

この物件についてのお問い合わせ

外観 区画図
外観 間取り図

物件詳細情報

現況 更地 接道状況 南側:公道6m
建ぺい率 40% 容積率 60%
学区 下新城小学校
秋田北中学校
都市計画 市街化区域
引渡し 即時 取引態様 仲介
備考 ・景観条例
・建築基準法22条区域
・立地適正化計画、都市機能誘導区域外、居住誘導区域外
・宅地造成等規制法

この物件についてのお問い合わせ

物件設備情報

  • 上水道
  • 下水道
  • プロパンガス

物件案内図

その他の物件画像

  • 画像
  • 画像
  • 画像
  • 画像
  • 画像
  • 画像
  • 画像
  • 画像
  • 画像
  • 画像
  • 画像

この物件についてのお問い合わせ

ページトップ

COPYRIGHT © SOPHIAHOME Co,.ltd ALL RIGTS RESERVED.